土地
仲介手数料0円
八王子市中山 全4区画 No.3 建築条件付売地 お好きなプランで建築できます!
- 価格
- 1,700万円
- 所在地
- 八王子市中山
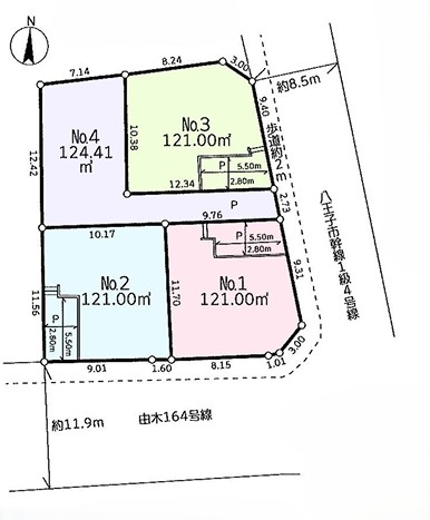
- 土地面積
- 121.00㎡(36.60坪)
- 交通
- JR中央線「八王子」駅バス28分
「中山」停歩1分
間取り図
物件詳細情報
- 物件番号
- 202511l-h000003-03
- 情報公開日
- 2025/11/17
- 価格
- 1,700万円
- 所在地
- 八王子市中山
- 交通
- JR中央線「八王子」駅バス28分
「中山」停歩1分
- 土地面積
- 121.00㎡(36.60坪)
- 建ぺい率
- 40%
- 容積率
- 80%
- 現況
- 更地
- 引渡日
- 即日
- 土地権利
- 所有権
- 地目
- 宅地
- 都市計画
- 市街化区域
- 用途地域
- 第一種低層住居専用地域
- 取引態様
- 媒介
- 設備
-
- 都市ガス
- 公営水道
- 本下水
- 接道状況
- 東 約8.5m公道
- 通学区域
- 中山小学校 約670m
中山中学校 約810m
- 周辺施設
- コープ北野台店 約2050m
クリエイトS・D八王子高嶺小学校前店 約1879m
セブンイレブン 八王子下柚木西店 約1280m
なみのりこども園 約360m
周辺地図
物件の詳細や見学(無料)などのお問い合わせは、
お問い合わせフォームまたはLINE、お電話にてご連絡ください。
- お電話での問合せ
-
042-707-1191
営業時間:平⽇ 10:00〜18:00
定休⽇:火曜日、⽔曜⽇、ゴールデンウィーク/夏季/年末年始



