土地
仲介手数料0円
★仲介手数料無料「0円」相模原市中央区宮下本町1丁目4期 全1区画 建築条件付売地 お好きなプランで建築できます!建築条件外し相談可能です!
- 価格
- 2,330万円
- 所在地
- 相模原市中央区宮下本町1丁目
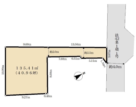
- 土地面積
- 135.41㎡(40.96坪)
- 交通
- JR横浜線「相模原」駅徒歩19分
間取り図
物件詳細情報
- 物件番号
- 202602l-s000067
- 情報公開日
- 2026/02/09
- 価格
- 2,330万円
- 所在地
- 相模原市中央区宮下本町1丁目
- 交通
- JR横浜線「相模原」駅徒歩19分
- 土地面積
- 135.41㎡(40.96坪)
- 建ぺい率
- 50%
- 容積率
- 80%
- 現況
- 更地
- 引渡日
- 即日
- 土地権利
- 所有権
- 地目
- 宅地
- 都市計画
- 市街化区域
- 用途地域
- 第一種低層住居専用地域
- 取引態様
- 媒介
- 設備
-
- LPガス
- 公営水道
- 本下水
- 接道状況
- 北東約4m公道
- 通学区域
- 向陽小学校 約1558m
小山中学校 約2800m
- 周辺施設
- 業務スーパー町田小山店 約793m
マツモトキヨシ相模原宮下本町店 約483m
セブンイレブン町田堺店 約600m
かえで保育園 約700m
周辺地図
物件の詳細や見学(無料)などのお問い合わせは、
お問い合わせフォームまたはLINE、お電話にてご連絡ください。
- お電話での問合せ
-
042-707-1191
営業時間:平⽇ 10:00〜18:00
定休⽇:火曜日、⽔曜⽇、ゴールデンウィーク/夏季/年末年始

